13人死亡,303万人受灾百万人撤离!台风“利奇马”登陆:屋顶被掀巨浪超5层楼高

2019 年 8 月 10 日 创业财经汇

茫茫人海中,为防大家走失,请大家

点击上方 “创业财经汇 ”  → 点右上角“...” → 点选“设为星标  ”

为创业财经汇加上星标,就再也不会迷路啦!


提示:亲们,有什么观点和看法,欢迎在末尾评论区留言,参与是一种美德,表达是一种进步。很多读者都养了成点赞的习惯,如果写得好,望大家阅读后,在右下边“在看”处点个赞,以示鼓励!



导读:据央视最新消息,台风“利奇马”已造成303.6万人受灾,13人死亡、16人失联,预计17点正面吹袭杭州。


来  源丨21世纪经济报道(ID:jjbd21 记者:卢常乐)、央视新闻、每日经济新闻、中央气象台、人民日报、中国天气网、中国气象爱好者、央视财经、浙江天气等


据央视新闻最新消息,截至10日10时,台风“利奇马”主要对浙江造成较大影响,台州、温州、宁波等6市42县(市、区)303.6万人受灾,75.2万人紧急转移安置,死亡13人,另有16人失联,200余间房屋倒塌,3200余间房屋不同程度损坏,农作物受灾66.3千公顷。上海市25.3万人紧急转移安置。


浙江、上海、江苏等地消防救援队伍共参加抢险救援1153起(浙江816起),营救遇险被困群众494人(浙江),出动指战员7600人次。



“利奇马”有多强?屋顶被掀翻、大树被连根拔起


10日1时45分前后,今年第9号台风“利奇马”(超强台风级)的中心在浙江省温岭市沿海登陆,登陆时中心附近最大风力16级。

预计“利奇马”登陆后将转向偏北方向移动,会先后穿浙江、江苏、山东等地,强度逐渐减弱。

受其影响,华东、华北、东北等地将先后掀起狂风暴雨,多地高铁停运,航班取消。

这就是“利奇马”:


图片来源:中国气象爱好者


“利奇马”究竟有多强,来看一组图感受一下。


台州温岭石塘:



杭州湾跨海大桥:



玉环坎门东沙海边:



舟山东港:



象山鹤浦大树被连根吹倒:



台州椒江王家村,开车如开船:



台州三门县珠游溪现场:



台州黄岩区院桥镇圣堂村:



舟山朱家尖大桥下:




屋顶被掀:



西湖梧桐树被连根拔起:



风太大记者站不住脚险被掀翻:


多地狂风掀巨浪超5层楼高:



“利奇马”为近70年来登浙第3强台风


根据《台风年鉴》资料显示,1949年至2018年期间登陆浙江的超强台风和强台风中,此次“利奇马”是第二次正面登陆温岭的强台风,上一次是2004年8月12日登陆的台风“云娜”。


  • 1949年至2018年期间登陆浙江的超强台风和强台风:


来源:《台风年鉴》资料


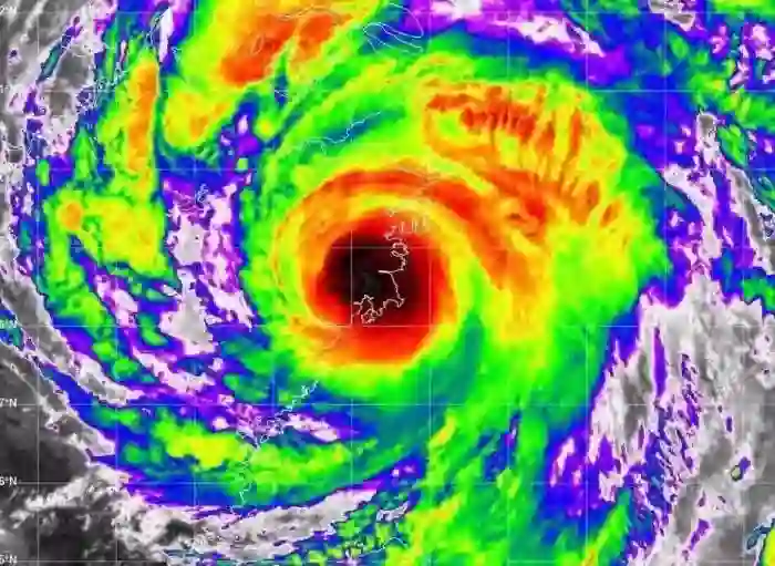
同时,“利奇马”也以超强台风级跻身新中国成立以来登陆浙江最强台风中的第3位。根据气象公开资料显示,“利奇马”登陆浙江后,形态变得更加完整浑圆,台风眼开始不明显,但对流持续爆发,甚至比在海面上更高。


台风“利奇马”登陆前监测图,图/浙江雷达组网监测


台风“利奇马”登陆后图片,图/浙江雷达组网监测



17:00正面袭击杭州!杭州东站出现史无前例的一幕


台风“利奇马”预计今天(10日)下午五六点左右经过杭州东部,主要是萧山和大江东区域,到时会有大到暴雨,局部有大暴雨,风力在8-10级。 


受“利奇马”影响,铁路杭州站今早7时发布消息,8月10日包含杭州、杭州东、富阳、桐庐、建德、千岛湖六大车站共停运旅客列车760余列,仍正常运营的列车仅有12列。

截至上午10时,铁路部门又更新消息,杭州东站列车今日全部停运,剩余列车已全部折回,杭州站剩K8352、K8500运行外,其余已发出停运指令。预计明日,铁路杭州直属站仍有约400列左右停运。


上午11时,杭州东站、杭州站共开了42个退票窗,排队人数较多,可能需要排队三小时。而此时杭州东站的候车大厅空空荡荡,只有工作人员还在坚守岗位,更多的工作人员则去支援退票窗口。



“网络购票的旅客可以选择网络退票。”铁路工作人员建议,目前所有的窗口都处于满负荷运作状态,今明两天,旅客尽量不要来火车站办理退票,而且所有停运的火车票都可以在开车后30天内在全国任意一个火车站通退。



另外,杭州萧山国际机场今天上午9时发布公告,“受台风影响,今天9点半到下午4点,机场不接收非紧急情况落地航班。”


截至发稿前,记者从萧山国际机场获悉杭州机场将于今日16:00以后接受航班落地,恢复航班运行。



一路北上,将波及8省市


气象分析专家表示,“利奇马”登陆时的强度虽达到了超强台风级,但由于浙江多山地形影响,强度将会迅速减弱,但由于其将沿着华东沿海海岸线北上,先后穿越浙江、江苏、山东等地,一半环流将维持在海面上,导致强度有可能维持或者缓慢减弱。


“利奇马”台风走向预测,图/浙江省水利厅


根据中央气象台预计,今天浙江、江苏、上海、安徽、山东普遍会出现大到暴雨,其中,山东中部、安徽东南部、江苏北部和南部、上海、浙江北部等地部分地区有大暴雨,浙江北部局地特大暴雨。浙江北部、上海、江苏、山东南部等地的部分地区有6—8级风。



百万人撤离!浙江全省共有192.7万人受灾


今天上午,浙江省防汛指挥部最新消息显示,超强台风“利奇马”登陆后,截至10日8时,浙江全省共有192.7万人受灾,农作物受灾面积达到5.5万公顷,绝收7400余公顷,因灾倒损房屋3000余间,受灾比较严重的有乐清市、温岭市和玉环市等地。


目前“利奇马”超强台风带来的强降雨已经给浙江台州部分地区造成内涝灾情。根据台州市玉环电视台记者现场报道,目前受超强台风“利奇马”影响,大暴雨已经使得台州玉环市部分地区受淹。


台州玉环当地部分城区被淹,图/玉环电视台


记者获悉,目前江浙沪多个地区已经撤离人员超过百万人。


记者从上海市防汛指挥部获悉,10日凌晨24时, 在“利奇马”登陆浙江温岭前,上海全市已经撤离转移共计25万余人。


同时在浙江,根据浙江省防汛指挥部发布的最新消息显示,截至10日8时, 浙江全省共转移人员87.5万人,已经开放避灾安置场所12227个,全省大中型水库共拦蓄5.86亿立方米。

在台风可能经过的江苏南通市,目前全市已经迎来了强风雨天气,其中强降雨将主要集中在10日白天到11日上午。

截至10日0点左右,针对台风“利奇马”过境可能产生的险情, 南通市已经撤离在江在海船只1094艘,转移各类人员3907人,其中渔船660艘。



迪士尼闭园、东航取消815个航班


受台风影响,江浙沪包邮区交通大面积受阻,从昨天开始,不少航班甚至高铁已经暂时停运。


10日—11日,经由上海、南京、合肥、苏州等地的超300趟列车停运。北京、广州、深圳、厦门、郑州等地前往江浙沪地区的部分列车都出现停运情况。


中国铁路上海局集团有限公司计划对8月10日、11日经由相关线路区段的旅客列车采取停运、停售车票措施。目前确定8月10日停运范围为:


1、甬台温铁路、金温铁路全天停运;

2、10日12时后杭甬高铁、萧甬铁路停运;

3、10日16时后金山铁路停运;

4、10日20时后沪杭高铁、沪杭普速铁路停运。


铁路方面提醒,在中国铁路12306网站购买车票的旅客,如尚未换取纸质车票,建议直接在网站办理退票;已购买停运列车车票的旅客,可于票面乘车日期起30日内(含当日)持车票到车站窗口办理退票手续,避免集中在当天去车站退票。以上均不收取手续费。


据悉,今日上午上海站退票窗口已大排长龙,车站方面已不建议您今天来车站退票了。


视频截图


航空运输方面,进出江浙沪地区的航班大面积取消。


东方航空:受第9号台风"利奇马"(超强台风级)持续影响,为确保航班运行安全,东航决定取消东航、上航实际执飞8月10日至11日上海浦东、虹桥机场进出港国际、国内航班共计815班次。


中国国际航空:截止到8月10日12:00,最新航班动态如下:



海南航空:



另外,在上海,今天轮渡全线停航,大连路隧道间歇性开放非机动车过江。


上海轨道交通16号线、浦江线、磁浮线全线暂停运营,轨道交通2、5、6、8、17号线,地面及高架段限速。


据杭州市气象局,8月10日7时,受台风影响,浙江全省高速公路具体通行情况如下:


1、温州、台州、舟山地区高速公路全线封道。

2、丽水、金华、绍兴、宁波地区高速全线进口关闭。

3、杭州、湖州、嘉兴辖区所有路段对“两客一危”和一类厢式货车限行。杭州辖区苏绍高速杭州段进口关闭。嘉兴辖区因宁波跨海大桥封道影响,宁波方向港区出口分流,北接线高速港区、平湖进口关闭;杭浦高速乍浦、新仓、独山进口关闭;乍嘉苏高速的余新、凤桥进口关闭。


上海不少景点今天暂停开放,包括上海迪士尼乐园、海昌海洋公园、上海欢乐谷、上海玛雅海滩水公园。金茂大厦88层观光厅也暂停营运。


提醒:台风天应该做好这些准备


微信改版了,之前点赞是点,现在是点右下角的“在看”,希望各位朋友看完后点“在看”,以示鼓励,坚持是一种信仰,专注是一种态度。


喜欢本文的亲们,

请在页尾留言,点在看,转发哦

登录查看更多
0

相关内容

The CCTV news app: the China Central Television News Center's official app, an authoritative source of breaking news. Watch exclusive video and discover the issues that matter to people in China. Join CCTV to witness China develop.
商业数据分析,39页ppt
专知会员服务
165+阅读 · 2020年6月2日
专知会员服务
29+阅读 · 2020年3月6日
广东疾控中心《新型冠状病毒感染防护》,65页pdf
专知会员服务
19+阅读 · 2020年1月26日
新时期我国信息技术产业的发展
专知会员服务
71+阅读 · 2020年1月18日
2019中国硬科技发展白皮书 193页
专知会员服务
86+阅读 · 2019年12月13日
印度首次挑战登月告败,一步之遥≈多大差距?
人工智能学家
4+阅读 · 2019年9月7日
刘强东清明节回湖南湘潭认祖,带给乡亲100亿“小礼物”
中国企业家杂志
7+阅读 · 2018年4月7日
导师(老板),求求您,请让我活着毕业!
全球人工智能
7+阅读 · 2018年3月30日
30万只是白菜价!这些公司薪水超高!
七月在线实验室
5+阅读 · 2018年3月6日
2017企业阵亡最全名单公布
小饭桌
7+阅读 · 2018年2月28日
人工智能:英、中、美上演“三国演义”
专知
4+阅读 · 2018年1月27日
2017创业阵亡最全名单曝光,触目惊心!
今日互联网头条
5+阅读 · 2017年12月26日
Arxiv
5+阅读 · 2018年10月4日
Text classification using capsules
Arxiv
5+阅读 · 2018年8月12日
Arxiv
5+阅读 · 2018年5月5日
Arxiv
3+阅读 · 2017年12月14日
VIP会员
最新内容
人工智能在战场行动中的演进及伊朗案例
专知会员服务
2+阅读 · 今天13:08
美AI公司Anthropic推出网络安全模型“Mythos”
专知会员服务
2+阅读 · 今天12:58
【博士论文】面向城市环境的可解释计算机视觉
专知会员服务
0+阅读 · 今天12:57
大语言模型的自改进机制:技术综述与未来展望
专知会员服务
0+阅读 · 今天12:50
《第四代军事特种作战部队选拔与评估》
专知会员服务
1+阅读 · 今天6:23
相关VIP内容
商业数据分析,39页ppt
专知会员服务
165+阅读 · 2020年6月2日
专知会员服务
29+阅读 · 2020年3月6日
广东疾控中心《新型冠状病毒感染防护》,65页pdf
专知会员服务
19+阅读 · 2020年1月26日
新时期我国信息技术产业的发展
专知会员服务
71+阅读 · 2020年1月18日
2019中国硬科技发展白皮书 193页
专知会员服务
86+阅读 · 2019年12月13日
相关资讯
印度首次挑战登月告败,一步之遥≈多大差距?
人工智能学家
4+阅读 · 2019年9月7日
刘强东清明节回湖南湘潭认祖,带给乡亲100亿“小礼物”
中国企业家杂志
7+阅读 · 2018年4月7日
导师(老板),求求您,请让我活着毕业!
全球人工智能
7+阅读 · 2018年3月30日
30万只是白菜价!这些公司薪水超高!
七月在线实验室
5+阅读 · 2018年3月6日
2017企业阵亡最全名单公布
小饭桌
7+阅读 · 2018年2月28日
人工智能:英、中、美上演“三国演义”
专知
4+阅读 · 2018年1月27日
2017创业阵亡最全名单曝光,触目惊心!
今日互联网头条
5+阅读 · 2017年12月26日
Top
微信扫码咨询专知VIP会员