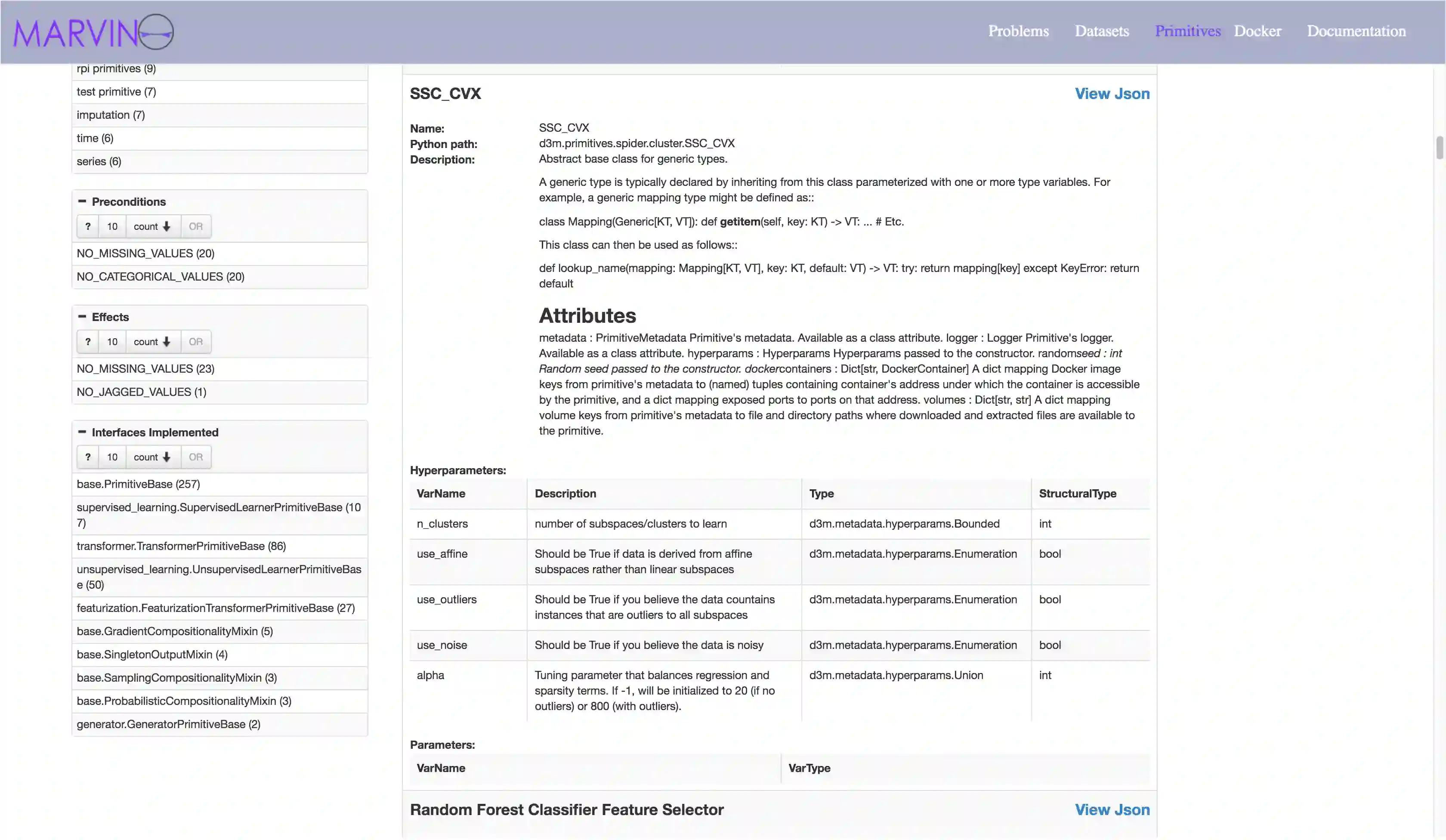
In this demo paper, we introduce the DARPA D3M program for automatic machine learning (ML) and JPL's MARVIN tool that provides an environment to locate, annotate, and execute machine learning primitives for use in ML pipelines. MARVIN is a web-based application and associated back-end interface written in Python that enables composition of ML pipelines from hundreds of primitives from the world of Scikit-Learn, Keras, DL4J and other widely used libraries. MARVIN allows for the creation of Docker containers that run on Kubernetes clusters within DARPA to provide an execution environment for automated machine learning. MARVIN currently contains over 400 datasets and challenge problems from a wide array of ML domains including routine classification and regression to advanced video/image classification and remote sensing.


翻译:在这份演示文件中,我们介绍了DARPA D3M自动机器学习(ML)和JPL的MARVIN工具DARPA D3M程序,为定位、批注和执行机器学习原始材料以用于ML管道提供了环境。MARVIN是一个网络应用程序,也是以Python书写的相关后端界面,它使得ML管道能够由来自Sciikit-Learn、Keras、DL4J和其他广泛使用图书馆的数百个原始材料组成。MARVIN允许在DARPA的Kubernetes集群上建立多克集装箱,为自动机器学习提供一个执行环境。MARVIN目前包含400多个ML域的数据集和挑战,包括常规分类和回归到先进的视频/图像分类和遥感。

0
下载
关闭预览

相关内容

Automator是苹果公司为他们的Mac OS X系统开发的一款软件。 只要通过点击拖拽鼠标等操作就可以将一系列动作组合成一个工作流,从而帮助你自动的(可重复的)完成一些复杂的工作。Automator还能横跨很多不同种类的程序,包括:查找器、Safari网络浏览器、iCal、地址簿或者其他的一些程序。它还能和一些第三方的程序一起工作,如微软的Office、Adobe公司的Photoshop或者Pixelmator等。
专知会员服务
119+阅读 · 2019年12月24日
机器学习入门的经验与建议
专知会员服务
94+阅读 · 2019年10月10日
Transferring Knowledge across Learning Processes
CreateAMind
29+阅读 · 2019年5月18日
19篇ICML2019论文摘录选读!
专知
28+阅读 · 2019年4月28日
人工智能 | SCI期刊专刊信息3条
Call4Papers
5+阅读 · 2019年1月10日
Unsupervised Learning via Meta-Learning
CreateAMind
44+阅读 · 2019年1月3日
A Technical Overview of AI & ML in 2018 & Trends for 2019
待字闺中
18+阅读 · 2018年12月24日
Hierarchical Imitation - Reinforcement Learning
CreateAMind
19+阅读 · 2018年5月25日
Reinforcement Learning: An Introduction 2018第二版 500页
CreateAMind
14+阅读 · 2018年4月27日
Auto-Encoding GAN
CreateAMind
7+阅读 · 2017年8月4日
3D Deep Learning on Medical Images: A Review
Arxiv
13+阅读 · 2020年4月1日
Advances and Open Problems in Federated Learning
Arxiv
18+阅读 · 2019年12月10日
Arxiv
27+阅读 · 2019年11月24日
Arxiv
18+阅读 · 2019年1月16日
Arxiv
15+阅读 · 2018年6月23日
Arxiv
15+阅读 · 2018年4月3日
VIP会员
最新内容
人工智能在战场行动中的演进及伊朗案例
专知会员服务
4+阅读 · 4月18日
美AI公司Anthropic推出网络安全模型“Mythos”
专知会员服务
2+阅读 · 4月18日
【博士论文】面向城市环境的可解释计算机视觉
大语言模型的自改进机制:技术综述与未来展望
《第四代军事特种作战部队选拔与评估》
专知会员服务
1+阅读 · 4月18日
相关VIP内容
专知会员服务
119+阅读 · 2019年12月24日
机器学习入门的经验与建议
专知会员服务
94+阅读 · 2019年10月10日
相关资讯
Transferring Knowledge across Learning Processes
CreateAMind
29+阅读 · 2019年5月18日
19篇ICML2019论文摘录选读!
专知
28+阅读 · 2019年4月28日
人工智能 | SCI期刊专刊信息3条
Call4Papers
5+阅读 · 2019年1月10日
Unsupervised Learning via Meta-Learning
CreateAMind
44+阅读 · 2019年1月3日
A Technical Overview of AI & ML in 2018 & Trends for 2019
待字闺中
18+阅读 · 2018年12月24日
Hierarchical Imitation - Reinforcement Learning
CreateAMind
19+阅读 · 2018年5月25日
Reinforcement Learning: An Introduction 2018第二版 500页
CreateAMind
14+阅读 · 2018年4月27日
Auto-Encoding GAN
CreateAMind
7+阅读 · 2017年8月4日
相关论文
3D Deep Learning on Medical Images: A Review
Arxiv
13+阅读 · 2020年4月1日
Advances and Open Problems in Federated Learning
Arxiv
18+阅读 · 2019年12月10日
Arxiv
27+阅读 · 2019年11月24日
Arxiv
18+阅读 · 2019年1月16日
Arxiv
15+阅读 · 2018年6月23日
Arxiv
15+阅读 · 2018年4月3日
Top
微信扫码咨询专知VIP会员